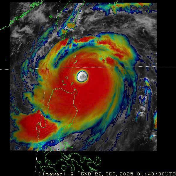
Super Typhoon Ragasa, classified this morning by the Japan Meteorological Agency (JMA) as a “violent” storm, is moving into the East Sea. Experts warn it could become one of the six strongest typhoons in the past 50 years in the region, even surpassing 2024’s Typhoon Yagi.

According to the National Center for Hydrometeorological Forecasting (NCHMF), Ragasa will enter the East Sea this evening (Sept 22) and be named Storm No. 9 of 2025. By 1:00 pm on Sept 25, its center is forecast to be over the waters off Quang Ninh – Ninh Binh, with sustained winds of Category 12–13 (118–149 km/h), gusting up to Category 16.
Meteorologists warn that Ragasa’s massive circulation will generate thunderstorms and squalls along Vietnam’s coast even before landfall, including areas as far south as Lam Dong, Ca Mau, and An Giang.
“This is extremely dangerous for coastal fishing boats and floating cages, where people often underestimate risks,” said Nguyen Van Huong, Head of Weather Forecasting at NCHMF. “Residents in the projected impact zone – northern provinces, Thanh Hoa, Nghe An, Ha Tinh – must reinforce homes and prepare safety measures now.”
Ragasa’s future path remains uncertain, with two main scenarios:
· Scenario 1 (less severe): Ragasa moves northwest toward Guangdong (China), weakens 2–4 categories due to land interaction, then enters the Gulf of Tonkin.
· Scenario 2 (more severe): Ragasa heads west directly into the Gulf of Tonkin, maintaining very strong intensity, bringing damaging winds and torrential rains to northern and north-central Vietnam.
Adding complexity, a cold air mass from China is forecast to move south around Sept 25–26, which could alter Ragasa’s strength, path, and affected areas.
The storm is expected to maintain Category 16–17 winds (185–221 km/h) for the next 48 hours before gradually weakening. Even so, it will bring:
· Sept 22–23: Winds of 118–136 km/h (Category 12–13) in the northeast East Sea; waves over 10 meters.
· Sept 24: Gulf of Tonkin sees winds of 74–117 km/h (Category 8–10), increasing to Category 11–13 (103–149 km/h) near the storm’s center; waves 5–7 meters.
· Sept 25: Ragasa reaches waters off Quang Ninh–Ninh Binh with winds Category 12–13, gusting to Category 16.
Onshore, widespread heavy rainfall is forecast across northern provinces and north-central Vietnam, with the wind impact zone stretching from Quang Ninh to Ha Tinh, possibly as far south as Quang Tri.
Timeline (Forecast Update – Sept 22, 1 pm)
· Sept 22, 1 pm: Center ~140 km north of Luzon, Philippines. Winds Category 17 (202–221 km/h).
· Sept 23, 1 pm: Over northeast East Sea. Maintains Category 17.
· Sept 24, 1 pm: Near Leizhou Peninsula, China. Weakens to Category 15–16.
· Sept 25, 1 pm: Over waters off Quang Ninh – Ninh Binh. Winds Category 12–13.
· Sept 26 onward: Moves west-southwest, steadily weakening.
Bao Anh