
Coral bleaching occurs when corals are stressed by changes in conditions such as temperature, light, or nutrients, and they expel symbiotic algae living in their tissues, causing them to turn white.
Recently, the public has been stunned by the image of coral around Hon Mun Island, the core area of Nha Trang Bay Marine Protected Area, which has been severely damaged.
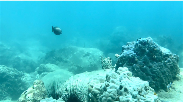
The beautiful coral reefs are a tourist attraction in Nha Trang Bay for their diverse marine ecosystem and dense coral reef ecosystem, and as a breeding place for many species of fish.
Nha Trang Bay Marine Protected Area (formerly Hon Mun Marine Protected Area) was established in 2001, covering an area of about 160 square kilometres, including 38 square kilometres of land and 122 square kilometres of water around nine islands of Hon Tre, Hon Mieu, Hon Tam, Hon Mot, Hon Mun, Hon Cau, Hon Vung, Hon Rom and Hon Ngoc.
It has diverse ecosystems in which hard corals are found on Hon Mun Island.
According to scientific researchers, the coral reef ecosystem is particularly susceptible to environmental factors such as changes in temperature, light intensity, and acidity in the water. The amount of sediment and some elements of salts and metals also affect the viability of the coral reefs.
Dr Nguyen Tac An, former director of Nha Trang Oceanography Institute, said the marine environment all over the country, including Nha Trang Bay, had been seriously degraded.
In addition to the impact of climate change, the Hon Mun coral reef has been under pressure from economic development. An said it is necessary to have objective and scientific research and assessment on the cause of damage to the coral reefs.
Residents and visitors have also been angered.
Do Thanh Quan, a resident of Nha Trang City, said he returned to the diving site in Hon Mun Island after two years of the pandemic and was sad to see white dead coral along the beach.
When diving deep into the sea floor, Quan said many areas of coral reefs were no longer as vibrant as in previous years.
A diving coach with more than 20 years in the profession, who asked for anonymity, said the coral reefs were dying. The seabed of Hon Mun had turned from a beautiful scene into ravaged, bleached coral reefs.
He said low awareness of marine conservation, illegal fishing and overexploitation, and loose management of functional forces were the main issues.
Alarming numbers
The assessment and monitoring of biodiversity resources have been carried out since 2002. The results of surveys and scientific research conducted by Nha Trang Oceanography Institute from 2002 to 2015 in Nha Trang Bay’s strictly protected areas showed that coral reefs remained stable.
Meanwhile, most monitoring points outside the protected area saw a decrease in the coverage of corals by 7.2 per cent since 1994.

In early January, Nha Trang Bay Management Board conducted a biodiversity survey in Hon Mun protected subdivision.
The survey showed that the quality of the Hon Mun coral reef was average.
The average coral coverage was recorded in the northeast Hon Mun area with about 41.63 per cent, followed by low coverage of 24.6 per cent and 14.5 per cent in the northwest and southeast areas, respectively. A very low coverage was reported in the southwest area with only 7.8 per cent.
In 2015, the coral reefs in the northeast and southwest areas were in a good state with an average coverage of 53.7 per cent, but in 2022 that reduced to only 32.62 per cent. The southeast and northwest areas, with an average coverage of 52.2 per cent, fell into poor coverage with only 11.15 per cent.
Huynh Binh Thai, Head of Nha Trang Bay Management Board, admitted the deterioration of the coral reef ecosystem but said many factors caused the situation.
Extreme weather has left some areas with rich and diverse coral reefs, such as Hon Mun, Hon Mot, Hon Tam and northeast Hon Tre, severely damaged.
Up to 70-80 per cent of corals were destroyed after Typhoon Damrey in November 2017. In Hon Tam alone, the coverage of hard corals declined from 56.8 per cent in July 2017 to 12.5 per cent in December 2017.
In 2019, corals started bleaching because sea water temperatures increased in some areas on Nha Trang Bay. The hard coral's bleached rate is 39.5 per cent this year.
At the end of 2021, coral reefs in the area continued to be affected by typhoons. Up to 70 per cent of the coral reef in southwestern Hon Mun and the south was washed ashore.
In addition, tourism development, water pollution from aquaculture, polluted water from the Cai River flowing into Nha Trang Bay and illegal fishing worsened the situation, he said.

In March, the management board’s patrol force fined a vessel VND12.5 million (US$538) for illegally exploiting aquatic products in the form of electric guns in the north of Hon Rom in the strictly protected subdivision.
The patrol force has repeatedly dealt with fishermen who deliberately drive large-capacity vessels to the restricted area for illegal fishing.
The force had only one patrol vessel with six crew members in charge of more than 296 square kilometres across the bay.
Sustainable economic development strategy
Thái said the management board planned to install surveillance cameras in the entire bay in the near future to give fines to all violating vessels.
More importantly, the authorised agencies need a development strategy to improve the quality of people's lives around the bay.
The management board has continuously called on organisations and individuals in the area to regularly release aquatic resources to the Hon Mun strictly protected area. He said that it has worked with diving clubs to avoid damaging coral and raise public awareness of coral protection.
According to experts, the National Assembly and the Government need appropriate policies to preserve the sea and develop the economy.
An, former director of the Institute of Oceanography, emphasised that conservation was not simply about releasing animals but required changes in conservation policies to promote marine resources in a scientific way so that marine resources would be protected and developed to their full potential.
An said coral restoration in Nha Trang was not easy as culturing a coral reef could take thousands or even millions of years.
He said stable livelihoods for local people would prevent them from going into the protected area for illegal fishing.
“It is necessary to immediately stop the exploitation of marine resources in Nha Trang Bay and tightly control sea projects to clean up the bay, and then a long-term and sustainable project will help solve the situation,” he said.
Nguyen Tan Tuan, Chairman of Khanh Hoa Province’s People's Committee, said that the committee had assigned Nha Trang City to handle the problem.
"The immediate task is to check the environment and work with the Institute of Oceanography to find out the cause of the massive death of coral,” he said.
The city People's Committee said it had received the report from the Nha Trang Bay Management Board. It will organise a meeting addressing the problem next week.
Currently, Khanh Hoa Province has a strategy for the multiplication and development of biodiversity in Nha Trang Bay. The province has assigned more than 28 hectares of coastal waters of Tien Beach in Vinh Hoa Ward to Van San Island Joint Stock Company to conserve, restore and develop biodiversity in the next five years.
The project has an investment capital of about VND14.7 billion, funded by the company itself.
The project’s environmental impact assessment report was approved by the Ministry of Natural Resources and Environment early this March.
Source: Vietnam News